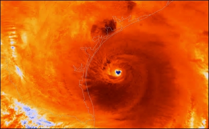
Global warming made Hurricane Harvey deadly rains three times more likely, research reveals
Hurricane Harvey’s unprecedented deluge, which caused catastrophic flooding in Houston in August, was made three times more likely by climate change, new research has found. Such a downpour was a very rare event, scientists said, but global warming meant it was 15% more intense. The storm left 80 people dead and 800,000 in need of assistance.
The scientists from the World Weather Attribution (WWA) initiative usually publish their assessments of the role of climate change in extreme weather events around the world as soon as possible. However, in this case they waited for the work to be confirmed by peer review because of the current US government’s opposition to strong action on climate change. The researchers said their new work shows global warming is making extreme weather events worse right now and in the US. The cost of the damage caused by Hurricane Harvey has been estimated at $190bn (£140bn), which would make it the most costly weather disaster in US history, more than Hurricanes Katrina and Sandy combined.(theguardian)…[+]



